如果让小编我来选择别墅的话,那我的首先是二层农村自建别墅,小编的家庭成员较少,且兄弟之间是分开住的,二层刚好适合。不论是给父母住,还是给孩子结婚用都可以,造价30万左右,这个价在城里买不到房,但可以建一栋别墅,60万虽买不了房,但可以自建两套别墅,这套别墅就是今天要介绍的这款。
别墅效果图

这款别墅采用现代风格设计,外观看上去大气美观,即使只有两层也不显低矮,设计有四间卧室,一个大客厅以及二楼一个小客厅,如果您身在北方,在农村又有宅基地的话,不放参照这款别墅自建一套吧。
别墅基本信息:
占地尺寸:12.2X13.3米
占地面积:154平方
建筑面积:386平方
结构类型:砖混结构
建筑层数:2
主体造价:30万左右

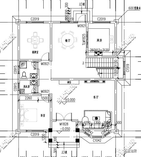
一层平面图

餐厅与厨房相连,方厨房旁设计有后门,便于生活垃圾的丢弃。客厅与餐厅采用隔断设计,客厅为挑空设计,不显拥挤,客厅北边墙上设神位。西南面设老人房,老人房旁设有洗衣房及卫生间,衣物的洗涤以及洗漱都非常方便。另外,一楼还设计有一间棋牌室。
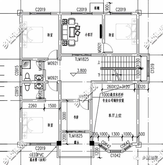
二层平面图

二层是主要的居住区。设计有三间卧室,南边主卧设计有内卫,主卧边上有一间书房,可用作平时办公休息场所,若家中有还在上学的子女,也可用作子女的学习场所,书房南向设计有一个露台,工作或者学习累了可在露台上透透气,舒缓一下心情,当然也可用来晾晒衣物。北边小客厅的设计则充分利用了空间,不显浪费。北边两间次卧位于小客厅两边,晚上休息前还可在小客厅聊聊天。
转载请注明出自轩鼎别墅设计://www.lemeizhai.com/